1991 Ford F450 XLT Lariat roll back truck | SOLD! Wednesday March 23 Midwest Internet Auction

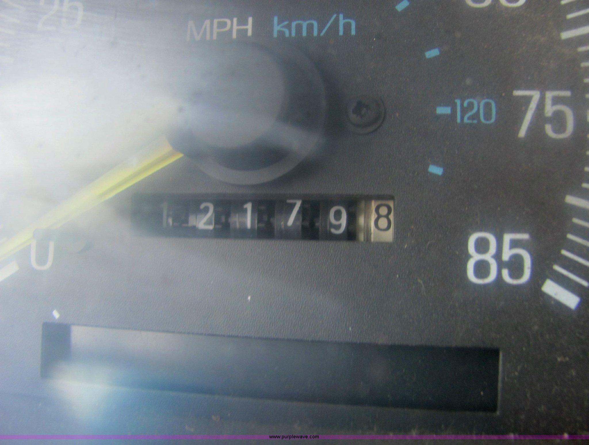
1991 Ford F450 XLT Lariat roll back truck. 12,179 miles on odometer, 7.3L V8 FI diesel engine, Five speed transmission, Power windows and locks, Cruise, PTO, 18' Jerr-Dan aluminum roll back bed Model 184EL, Serial 24370, Ramsey winch, Rear wheel lift, 7.5' wide, 235/85/16 tires, Hood latch is broken. Vehicle has an E-Title. Title distribution may be delayed up to 14 days from verification of funds. 2FDLF47M5MCB04294. Shipping quotes available. Jeffery Koster Estate. Conway Springs, KS 67031

Expand All Images
  • 6936 image for item 6936 1991 Ford F450 XLT Lariat roll back truck
  • 6936 image for item 6936 1991 Ford F450 XLT Lariat roll back truck
  • 6936 image for item 6936 1991 Ford F450 XLT Lariat roll back truck
  • 6936 image for item 6936 1991 Ford F450 XLT Lariat roll back truck
  • 6936 image for item 6936 1991 Ford F450 XLT Lariat roll back truck
  • 6936 image for item 6936 1991 Ford F450 XLT Lariat roll back truck
  • 6936 image for item 6936 1991 Ford F450 XLT Lariat roll back truck
  • 6936 image for item 6936 1991 Ford F450 XLT Lariat roll back truck
  • 6936 image for item 6936 1991 Ford F450 XLT Lariat roll back truck
  • 6936 image for item 6936 1991 Ford F450 XLT Lariat roll back truck
  • 6936 image for item 6936 1991 Ford F450 XLT Lariat roll back truck
  • 6936 image for item 6936 1991 Ford F450 XLT Lariat roll back truck
  • 6936 image for item 6936 1991 Ford F450 XLT Lariat roll back truck
  • 6936 image for item 6936 1991 Ford F450 XLT Lariat roll back truck
  • 6936 image for item 6936 1991 Ford F450 XLT Lariat roll back truck
  • 6936 image for item 6936 1991 Ford F450 XLT Lariat roll back truck
  • 6936 image for item 6936 1991 Ford F450 XLT Lariat roll back truck
  • 6936 image for item 6936 1991 Ford F450 XLT Lariat roll back truck
  • 6936 image for item 6936 1991 Ford F450 XLT Lariat roll back truck
  • 6936 image for item 6936 1991 Ford F450 XLT Lariat roll back truck
  • 6936 image for item 6936 1991 Ford F450 XLT Lariat roll back truck
  • 6936 image for item 6936 1991 Ford F450 XLT Lariat roll back truck
  • 6936 image for item 6936 1991 Ford F450 XLT Lariat roll back truck
  • 6936 image for item 6936 1991 Ford F450 XLT Lariat roll back truck
  • 6936 image for item 6936 1991 Ford F450 XLT Lariat roll back truck
  • 6936 image for item 6936 1991 Ford F450 XLT Lariat roll back truck
  • 6936 image for item 6936 1991 Ford F450 XLT Lariat roll back truck
  • 6936 image for item 6936 1991 Ford F450 XLT Lariat roll back truck
  • 6936 image for item 6936 1991 Ford F450 XLT Lariat roll back truck
  • 6936 image for item 6936 1991 Ford F450 XLT Lariat roll back truck
  • 6936 image for item 6936 1991 Ford F450 XLT Lariat roll back truck
  • 6936 image for item 6936 1991 Ford F450 XLT Lariat roll back truck
  • 6936 image for item 6936 1991 Ford F450 XLT Lariat roll back truck
  • 6936 image for item 6936 1991 Ford F450 XLT Lariat roll back truck
  • 6936 image for item 6936 1991 Ford F450 XLT Lariat roll back truck
  • 6936 image for item 6936 1991 Ford F450 XLT Lariat roll back truck
  • 6936 image for item 6936 1991 Ford F450 XLT Lariat roll back truck
  • 6936 image for item 6936 1991 Ford F450 XLT Lariat roll back truck
  • 6936 image for item 6936 1991 Ford F450 XLT Lariat roll back truck
  • 6936 image for item 6936 1991 Ford F450 XLT Lariat roll back truck
  • 6936 image for item 6936 1991 Ford F450 XLT Lariat roll back truck
  • 6936 image for item 6936 1991 Ford F450 XLT Lariat roll back truck
  • 6936 image for item 6936 1991 Ford F450 XLT Lariat roll back truck
  • 6936 image for item 6936 1991 Ford F450 XLT Lariat roll back truck
  • 6936 image for item 6936 1991 Ford F450 XLT Lariat roll back truck
  • 6936 image for item 6936 1991 Ford F450 XLT Lariat roll back truck
  • 6936 image for item 6936 1991 Ford F450 XLT Lariat roll back truck
Return to Copart RETURN TO COPART
Save Search Save Search
6936

1991 Ford F450 XLT Lariat roll back truck


Conway Springs, KS

03/23/11
CLOSED

$5,610

56993
1991 Ford F450 XLT Lariat roll back truck
  • 12,179 miles on odometer
  • 7.3L V8 FI diesel engine
  • Five speed transmission
  • Power windows and locks
  • Cruise
  • PTO
  • 18' Jerr-Dan aluminum roll back bed
    • Model 184EL
    • Serial 24370
    • Ramsey winch
    • Rear wheel lift
  • 7.5' wide
  • 235/85/16 tires
  • Hood latch is broken
Vehicle has an E-Title. Title distribution may be delayed up to 14 days from verification of funds.
2FDLF47M5MCB04294
Shipping quotes available
Jeffery Koster Estate
Conway Springs, KS 67031

1991 Ford F450 XLT Lariat roll back truck has sold in Conway Springs, Kansas for $5610. Item 6936 sold on March 23rd, 2011.

Purple Wave is selling a used Flat Bed Truck in Kansas. This item is a 1991 Ford F450 XLT Lariat roll back truck with the following: 12,179 miles on odometer, 7.3L V8 FI diesel engine, Five speed transmission, Power windows and locks, Cruise, PTO, 18' Jerr-Dan aluminum roll back bed, Model 184EL, Serial 24370, Ramsey winch, Rear wheel lift, 7.5' wide, 235/85/16 tires, Hood latch is broken

This 1991 Ford F450 XLT Lariat roll back truck will sell to the highest bidder regardless of price.