2001 Volkswagen Jetta GLS | SOLD! April 18 Midwest Auction
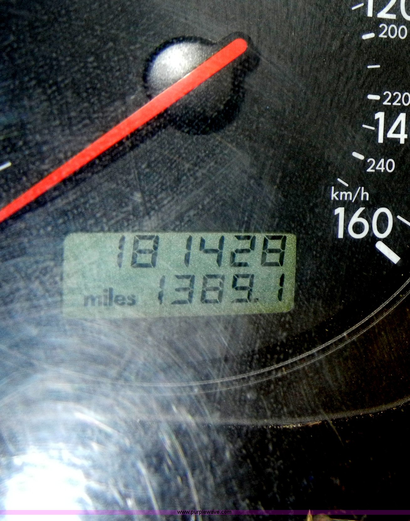
2001 Volkswagen Jetta GLS. 181,428 miles on odometer, 2.0L I4 MPI gas engine, Five speed manual transmission, AC and heat, Cruise, AM/FM, Power windows, locks, and mirrors, Vinyl interior, Sunroof, 195/65R15 tires, Interior/exterior cosmetic damage, Driver window off track. WVWSB61JX1W724564. Shipping quotes available. 407 W Bertrand. St Marys, KS 66536
-
C4402
Full size in new window
-
C4402
Full size in new window
-
C4402
Full size in new window
-
C4402
Full size in new window
-
C4402
Full size in new window
-
C4402
Full size in new window
-
C4402
Full size in new window
-
C4402
Full size in new window
-
C4402
Full size in new window
-
C4402
Full size in new window
-
C4402
Full size in new window
-
C4402
Full size in new window
-
C4402
Full size in new window
-
C4402
Full size in new window
-
C4402
Full size in new window
-
C4402
Full size in new window
-
C4402
Full size in new window
-
C4402
Full size in new window
-
C4402
Full size in new window
-
C4402
Full size in new window
-
C4402
Full size in new window
-
C4402
Full size in new window
-
C4402
Full size in new window
-
C4402
Full size in new window
-
C4402
Full size in new window
-
C4402
Full size in new window
-
C4402
Full size in new window
$1,430
66507
- 181,428 miles on odometer
- 2.0L I4 MPI gas engine
- Five speed manual transmission
- AC and heat
- Cruise
- AM/FM
- Power windows, locks, and mirrors
- Vinyl interior
- Sunroof
- 195/65R15 tires
- Interior/exterior cosmetic damage
- Driver window off track
Shipping quotes available
407 W Bertrand
St Marys, KS 66536
Purple Wave Shipping, LLC
[email protected]
1.888.838.9095
Take a look at this used 2001 Volkswagen Jetta GLS being sold on April 18th, 2012 in the SOLD! April 18 Midwest Auction made by Volkswagen. Take a look at all of the item information below or take a look at similar auctions for Passenger Vehicles.
| From Amount | Up To | Bid Increment |
|---|---|---|
| $10 | $25 | $2.50 |
| $25 | $100 | $5 |
| $100 | $250 | $10 |
| $250 | $1,000 | $25 |
| $1,000 | $2,500 | $50 |
| $2,500 | $10,000 | $100 |
| $10,000 | $50,000 | $500 |
| $50,000 | $1,000,000 | $1,000 |
2001 Volkswagen Jetta GLS has sold in St Marys, Kansas for $1430. Item C4402 sold on April 18th, 2012.
Purple Wave is selling a used Passenger Vehicle in Kansas. This item is a 2001 Volkswagen Jetta GLS with the following: 181,428 miles on odometer, 2.0L I4 MPI gas engine, Five speed manual transmission, AC and heat, Cruise, AM/FM, Power windows, locks, and mirrors, Vinyl interior, Sunroof, 195/65R15 tires, Interior/exterior cosmetic damage, Driver window off track
This 2001 Volkswagen Jetta GLS will sell to the highest bidder regardless of price.