2006 Dodge Ram 1500 pickup truck | SOLD! September 9 Government Auction
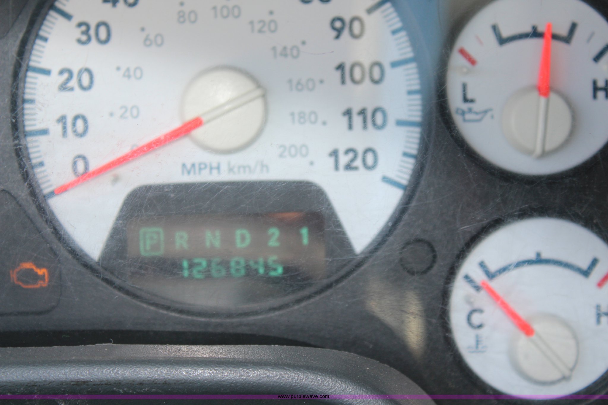
2006 Dodge Ram 1500 pickup truck. 126,845 miles on odometer, 7,873 hours on meter, 4.7L V8 SOHC 16V gas engine, Automatic transmission, Four wheel drive, AC and heat, Tilt, AM/FM/CD, Power windows, locks, and mirrors, Vinyl interior, Spray-in bed liner, Receiver hitch, 245/70R17 tires, Check engine light on, Weak battery, Cracked windshield, Unit# JCW1283. 1D7HU16N66J211812. Johnson County. 19310 W 159th. Olathe, KS 66062
-
J1010
Full size in new window
-
J1010
Full size in new window
-
J1010
Full size in new window
-
J1010
Full size in new window
-
J1010
Full size in new window
-
J1010
Full size in new window
-
J1010
Full size in new window
-
J1010
Full size in new window
-
J1010
Full size in new window
-
J1010
Full size in new window
-
J1010
Full size in new window
-
J1010
Full size in new window
-
J1010
Full size in new window
-
J1010
Full size in new window
-
J1010
Full size in new window
-
J1010
Full size in new window
-
J1010
Full size in new window
-
J1010
Full size in new window
-
J1010
Full size in new window
-
J1010
Full size in new window
-
J1010
Full size in new window
-
J1010
Full size in new window
-
J1010
Full size in new window
-
J1010
Full size in new window
-
J1010
Full size in new window
-
J1010
Full size in new window
$5,060
76676
- 126,845 miles on odometer
- 7,873 hours on meter
- 4.7L V8 SOHC 16V gas engine
- Automatic transmission
- Four wheel drive
- AC and heat
- Tilt
- AM/FM/CD
- Power windows, locks, and mirrors
- Vinyl interior
- Spray-in bed liner
- Receiver hitch
- 245/70R17 tires
- Check engine light on
- Weak battery
- Cracked windshield
- Unit# JCW1283
Johnson County
19310 W 159th
Olathe, KS 66062
Purple Wave Shipping, LLC
[email protected]
1.888.838.9095
Take a look at this used 2006 Dodge Ram 1500 pickup truck being sold on September 9th, 2014 in the SOLD! September 9 Government Auction made by Dodge. Take a look at all of the item information below or take a look at similar auctions for Pickups and Vans.
All Upcoming Auctions
Pickups and Vans
Passenger Vehicles, Boats and RV's
Olathe, KS
Upcoming items within 50 miles of 66062
This Auction
Pickups and Vans
Passenger Vehicles, Boats and RV's
Olathe, KS
All items in this auction within 50 miles of 66062
Past Auctions
| From Amount | Up To | Bid Increment |
|---|---|---|
| $10 | $25 | $2.50 |
| $25 | $100 | $5 |
| $100 | $250 | $10 |
| $250 | $1,000 | $25 |
| $1,000 | $2,500 | $50 |
| $2,500 | $10,000 | $100 |
| $10,000 | $50,000 | $500 |
| $50,000 | $1,000,000 | $1,000 |
2006 Dodge Ram 1500 pickup truck has sold in Olathe, Kansas for $5060. Item J1010 sold on September 9th, 2014.
Purple Wave is selling a used 1/2 Ton Pickup or Van in Kansas. This item is a 2006 Dodge Ram 1500 pickup truck with the following: 126,845 miles on odometer, 7,873 hours on meter, 4.7L V8 SOHC 16V gas engine, Automatic transmission, Four wheel drive, AC and heat, Tilt, AM/FM/CD, Power windows, locks, and mirrors, Vinyl interior, Spray-in bed liner, Receiver hitch, 245/70R17 tires, Check engine light on, Weak battery, Cracked windshield, Unit# JCW1283
This 2006 Dodge Ram 1500 pickup truck will sell to the highest bidder regardless of price.